首页
走进涞源
新闻动态
政府信息公开
政务服务
公众互动
投资涞源
旅游观光
站内搜索
当前位置:
首页
>
行政执法公示
> 详细信息
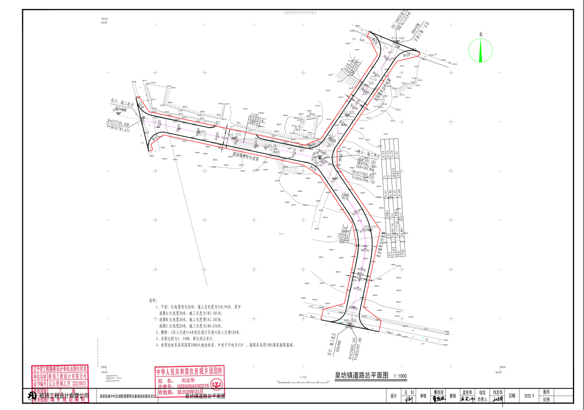
涞源县城中村改造配套管网及基础设施建设项目(项目二)建设工程规划许可证核发
事后公开
发文时间:2026-03-07 09:15:20 浏览次数:
286
打印本页
加入收藏